300亩征收空地“绣”出惠民风景
日前,从市住建局获悉,西陵区二马路二期扩大棚改项目即将启动,征收面积9928.72平方米,腾退土地3.68亩将用于我市重大疫情救治基地建设。
今年来,我市坚持征收土地有效利用与文明城市创建有机结合,将300余亩棚改腾空土地用于教育、医疗、公共绿地及智慧停车场建设,改善了城市面貌,完善了设施配套,提高了市民幸福感、获得感,城市精细化管理“绣”出新风景。
零星地块变绿地
傍晚时分,家住西坝的梅阿姨约上三五好友到庙嘴大桥西坝桥头健身娱乐。“以前,这一片是铁皮围挡的征收闲置空地,黄土裸露、时不时有流浪狗流窜,蚊虫鼠蚁也很多,现在这里重新做了绿化,成了一个开放的小公园,给我们附近居民提供了休闲遛弯的好去处。”

梅阿姨点赞的正是由西坝棚改项目腾空的部分地块改造而成的公共绿地。占地面积约3万平方米,经历场地平整、成片绿化、综合管护后,如今这里绿草如茵,草坪、灌木、乔木等景观绿植层次分明。傍晚,周边市民来这里健身,十分热闹。
“目前,除西坝棚改项目绿化改造,五一剧场周边项目、纺织机厂棚改项目、西陵二路沿线棚改项目也已改造完成”。市住建局相关负责人介绍,为逐步实现居民出行“300米见绿、500米入园”的目标,我市“见缝插绿”充分利用棚改零星地块进行绿化改造提升,成为街头绿地、“口袋”公园等,进一步提升人居环境,满足市民休闲所需。
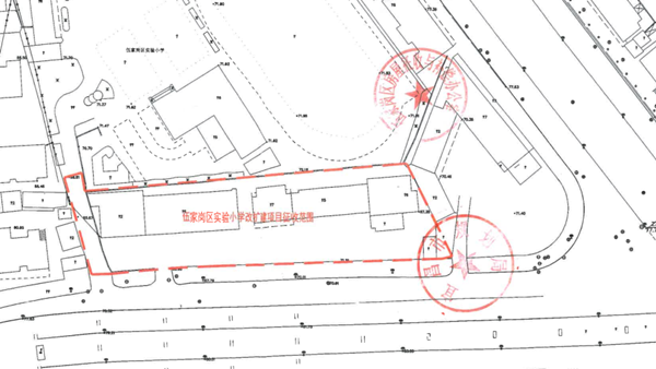
腾空土地建校舍
9月1日,伍家岗区实验小学改扩建项目及西坝九年一贯制中小学新建学校项目补偿方案已通过审批,即将进入征收阶段。

今年来,我市充分合理释放征收土地部分资源用于教育用地规划,全力改善办学条件,促进教育均衡。据悉,西坝九年一贯制中小学新建学校项目,拟征收西陵区建设路5户约11993.34平方米用于学校新建。伍家岗实验小学改扩建项目主要建设内容为拆除现所有校舍,征收临胜利三路4栋楼,新增用地约3022平方米,新建校舍建筑面积约14600平方米。办学规模规划为30个班共1500人,总投资约14757万元。
“伍家岗实验小学校区始建于1983年,3栋主建筑历史久远,设施老化,把这一片拆完,统一规划扩建,学校的环境将得到质的提升。”手指着征收待拆区域,伍家岗区征收负责人兴奋地说。
新增车位解民忧
“以前在这里找个车位都是靠抢的,有时候正准备停车,被别人捷足先登。”在港务新村停车场,附近居民胡大爷感叹道,如今有了这个停车场,邻里关系都和睦不少。
港务新村停车场正是利用棚改征收地块建设的临时地面停车场,占地面积约3788平方米,建设停车泊位134个已投入使用,极大缓解了附近居民停车难。

在庙嘴大桥江北停车场,记者看到,停车场周围还进行了绿化,并设立了温馨提示牌,整个停车场更加美观。

为健全完善老城区的配套设施和服务功能,我市利用暂未出让的棚改空地,累计建设智慧停车场13个1477个车位,今年,西陵区商校棚改地块、新华书店棚改地块等还将陆续被开发利用为临时停车场,满足中心城区停车需求。

